索 引 号:
000562417/2026-00102
主题分类:
建设规划
发布机构:
市自然资源和规划局
发文日期:
2026-01-26
文 号:
主 题 词:
名 称:
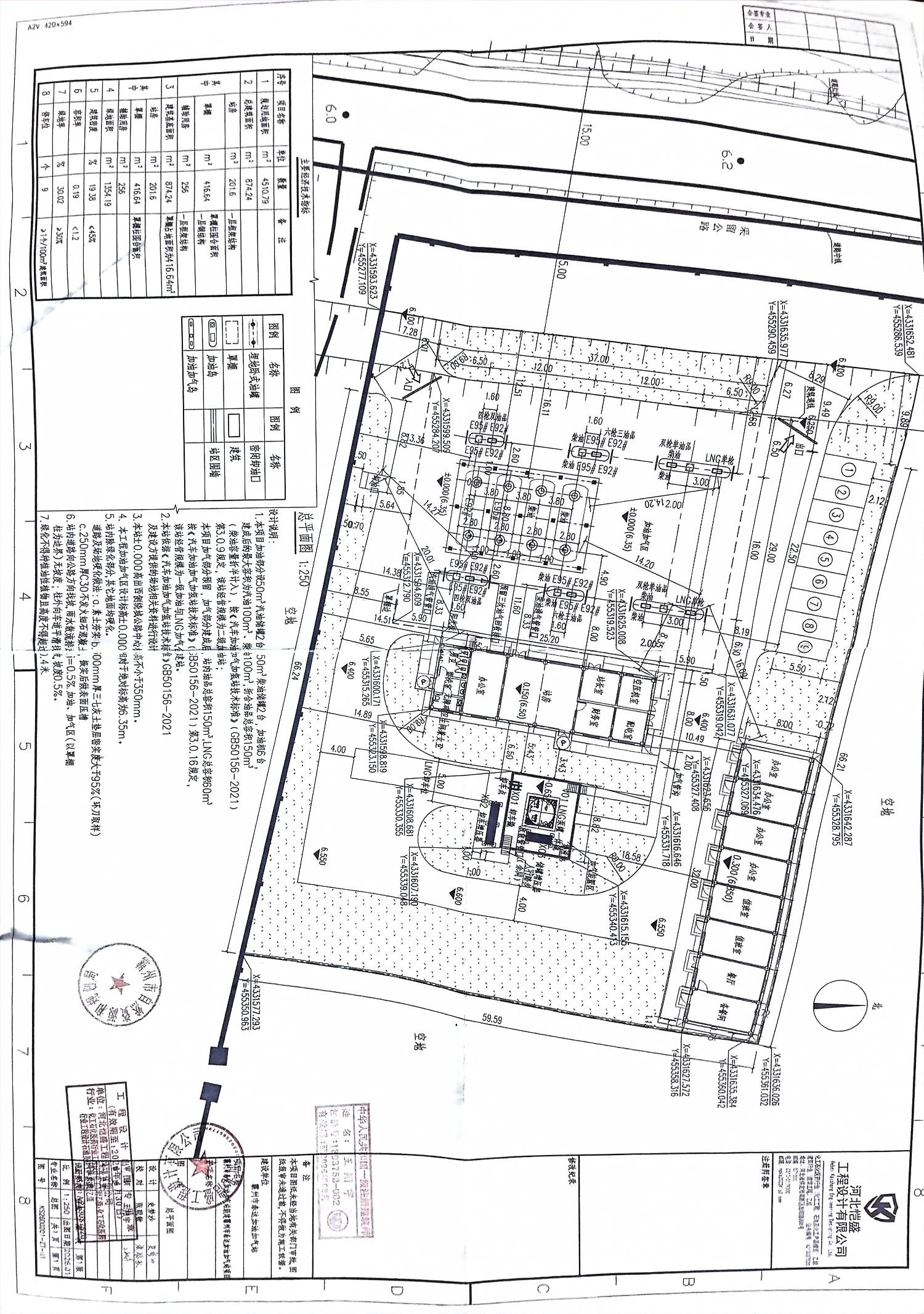
乡村建设规划许可
乡村建设规划许可
打印此页
关闭窗口
Copyright 2014 BaZhou China All Rights Reserved
本网站由河北省霸州市人民政府办公室主办
版权为河北省霸州市人民政府办公室所有